- トップ
- 新築一戸建てをエリアから探す
- 秦野市
- 東田原
- 4号棟 秦野市東田原 25-P1 全10棟 新築戸建
新築一戸建て

4号棟 秦野市東田原 25-P1 全10棟 新築戸建
情報更新日:2026/01/15 次回更新予定日:2026/01/29
所在地神奈川県秦野市東田原[周辺地図]
交 通小田急小田原線「秦野」駅バス10分 停歩1分



~緑豊かな住環境に佇む新築分譲住宅~
■全棟敷地約41坪以上の開放感ある立地
■イロドリライト仕様4LDKの間取り
・詳細や気になることなどお気軽にご相談下さい♪
□■SLE不動産■□
【気になるお家は、お気軽にお問い合わせを♪】
住宅ローンがご心配の方は、実績のある弊社へお任せください。
その他、相続や不動産に関することはワンストップで対応致します。
※お電話の場合:0463-20-9664
※メールの場合:【資料請求】ボタンをクリックでお問い合わせください。
■全棟敷地約41坪以上の開放感ある立地
■イロドリライト仕様4LDKの間取り
・詳細や気になることなどお気軽にご相談下さい♪
□■SLE不動産■□
【気になるお家は、お気軽にお問い合わせを♪】
住宅ローンがご心配の方は、実績のある弊社へお任せください。
その他、相続や不動産に関することはワンストップで対応致します。
※お電話の場合:0463-20-9664
※メールの場合:【資料請求】ボタンをクリックでお問い合わせください。
担当スタッフより

- 岡本
- 1号棟の実完成済みのため、いつでもご見学いただけます!
他の号棟に関しては2026年8月下旬頃完成予定です。詳細や気になることはお気軽にご相談くださいませ。
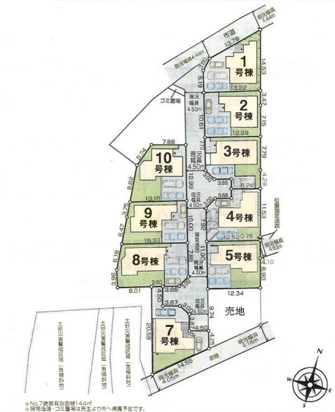
各棟情報
物件詳細情報
物件No.31020230497-008
| 所在地 | 神奈川県秦野市東田原 | ||
|---|---|---|---|
| 交通 | 小田急小田原線「秦野」駅バス10分 バス停「井ノ城」停歩1分 小田急小田原線「秦野」駅徒歩37分 |
||
| 間取 | 4LDK (和室6帖、LDK16帖、洋室8帖、洋室6帖、洋室6帖) | ||
| 土地面積 | 139.67m² | ||
| 建物面積 | 101.85m² | ||
| 販売戸数 | 9戸 | 総戸数 | 全10戸 |
| 構造・規模 | 木造 2階建て | 築年・入居 | 2026年8月 |
| バルコニー | 南向き | 建物現況 | 建築中 |
| 建築確認番号 | 第25UDI1W建04349号 | 駐車スペース | 3台(カースペース) |
| 引渡時期 | 期日指定有(2026年9月下旬) | 国土法届出 | 不要 |
| 地目 | 宅地 | 用途地域 | 第一種低層住居専用地域 |
| 建ぺい率 | 50% | 容積率 | 100% |
| 都市計画 | 市街化区域 | 権利種類 | 所有権 |
| 接道 | 西側4.5M公道に接道 | 小学校区 | 東小学校(1410m) |
| 中学校区 | 東中学校(1510m) | 取引態様 | 媒介 |
| 設備 | 公営水道、本下水、個別LPG | ||
| 備考・制限等 | 駐車スペース車種により2台駐車可。 | ||
- ※価格は物件の代金総額を表示しており、消費税が課税される場合は税込み価格です。(1,000円未満は切り上げ。)
税率は引き渡し時期により異なりますので、各物件の詳細につきましてはお問い合わせください。 - ※敷地権利が借地権のものは価格に権利金を含みます。
- ※制作中に内容が変更される場合もありますので、あらかじめご了承ください。
- ※購入の前には物件内容や契約条件についてご自身で十分な確認をしていただくようにお願いいたします。
- ※完成予想図はいずれも外構、植栽、外観等実際のものとは多少異なることがあります。
- ※CG合成の画像の場合、実際とは多少異なる場合があります。
周辺地図
周辺施設一覧
- ショッピングセンター
- スーパー
- コンビニ
- ドラッグストア
- ホームセンター
- 飲食店
- その他店舗
- 商店街
- 大学
- 専門学校
- 高校・高専
- 中学校
- 小学校
- 保育園
- 幼稚園
- 公民館・児童館
- 病院
- 郵便局
- 役所
- 図書館
- 金融機関
- 警察・消防
- 趣味・娯楽施設
- 公園・運動施設
- 周辺の街並み
- 駅
- その他
お問い合せ先
- 湘南レーベル(株)SLE不動産
- お電話でのお問い合わせは
0463-20-9664「ホームページを見た」とお問い合わせください - 神奈川県伊勢原市桜台1-9-7 堀井ビル1F
- 営業時間:AM09:30~PM18:30
- 定休日:火曜日・水曜日
- 免許番号:神奈川県知事(4)第026678号
- トップ
- 新築一戸建てをエリアから探す
- 秦野市
- 東田原
- 4号棟 秦野市東田原 25-P1 全10棟 新築戸建






