- トップ
- 中古住宅をエリアから探す
- 秦野市
- 曽屋
- 秦野市曽屋 中古戸建






■陽当たり良好/通風良好/人気の角地
■LDKは広々とした17帖+和室(4.5帖)
・全居室収納完備、主寝室広々8.2帖
・雨の日でも安心のルーフバルコニー
□■SCHOOL INFO■□
本町小学校まで徒歩約17分
本町中学校まで徒歩約14分
□■SLE不動産■□
気になるお家は、お気軽にお問い合わせを!
住宅ローンがご心配の方は、実績のある弊社へお任せください。
その他、相続や不動産に関することはワンストップで対応致します。
※お電話の場合:0463-20-9664
※メールの場合:【資料請求】ボタンをクリックでお問い合わせください。
- すべて(34)
- 外観・パース(14)
- 内観(16)
- 間取・区画(2)
- その他(0)
- 動画
すべての画像
【室内綺麗】実際に現地をご覧いただくと、写真以上の良さを実感できます •同エリア内でも条件の整った一邸です
リビング一部にカウンターがあり、お子様の勉強スペースとして家事をしながら様子を見ることもできます◎
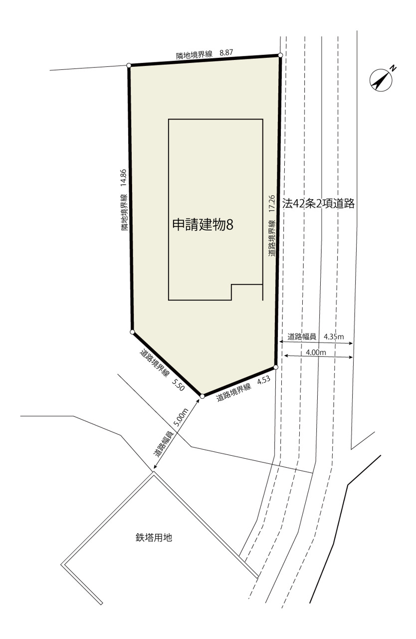
区画図
間取り
開放感あるリビングは、上質な空間設計が魅力。自然光がたっぷり差し込む心地よい空間で、贅沢なくつろぎの時間を演出します。
ソファやダイニングテーブルを配置しても圧迫感がなく、家族それぞれが思い思いの時間を過ごせます。模様替えもしやすく、暮らしの幅が広がります。
お子様の成長や家族構成の変化にも柔軟に対応でき、長く快適に住み続けられる住まいです。
ベッドやデスクも余裕を持って配置できる広さが魅力。
使い勝手がよいキッチンは、毎日の家事をスムーズにサポート。収納力も豊富で、いつでもスッキリした空間を保てます。
ゆったりと足を伸ばせる浴槽は、家族みんなのリラックスタイムに◎
お風呂上がりやお洗濯の際もスムーズに移動でき、家事の負担を軽減してくれます。
十分な収納が有りますのでお部屋を広く使うことが出来ます。
休日はチェアを出してカフェ気分。青空の下でゆったりくつろげます。
広めの収納スペースで靴や小物を整理でき、スッキリとした開放感あるデザインが家に入る時の第一歩をよりよいものにしてくれます。
その他内観
家族との会話を楽しみながら料理ができる、人気の対面式オープンキッチン。
明るい陽射しがたっぷり差し込む、心地よい空間。
一日の疲れを癒す、落ち着いたプライベートルーム。
収納
TVモニター付きインターフォン
車での移動はもちろん、歩行者や自転車の通行にも配慮された、暮らしやすい住環境です。
外からの印象も、暮らし心地も、どちらも満足いただけるお住まいです。
毎日の暮らしに嬉しい並列駐車スペースをしっかり確保。合計3台駐車可能
庭スペース付きで家庭菜園やお子様の遊び場に
担当スタッフより

- 矢崎
- 「陽当たり良好」「駐車3台可能」「耐震等級3」取得など大変魅力の詰まった中古戸建となります。お庭スペースや広いバルコニー、8帖越えの主寝室などゆとりある生活をご希望の方におすすめのお家です。
物件詳細情報
物件No.20000442885
| 所在地 | 神奈川県秦野市曽屋 | ||
|---|---|---|---|
| 交通 | 小田急小田原線「秦野」駅バス6分 バス停「宮上」停歩6分 小田急小田原線「渋沢」駅バス24分 バス停「宮上」停歩6分 小田急小田原線「秦野」駅徒歩28分 |
||
| 間取 | 4LDK (和室4.5帖、LDK17帖、洋室8.2帖、洋室7.5帖、洋室5.5帖) | ||
| 土地面積 | 157.52m² | ||
| 建物面積 | 102.87m² | ||
| 構造・規模 | 木造 2階建て | 築年月 | 2020年10月築 |
| バルコニー | 南向き | 国土法届出 | 不要 |
| 地目 | 宅地 | 用途地域 | 第一種住居地域 |
| 建ぺい率 | 60% | 容積率 | 200% |
| 都市計画 | 市街化区域 | 駐車スペース | 3台(カースペース) |
| 現況 | 居住中 | 引渡時期 | 相談 |
| 引渡条件 | 現況渡し | 権利種類 | 所有権 |
| 接道 | 南東側5M公道に接道 北西側3.1M公道に接道 |
小学校区 | 本町小学校(1360m) |
| 中学校区 | 本町中学校(1120m) | 取引態様 | 専任媒介 |
| 設備 | 公営水道、本下水、個別LPG | ||
| 備考・制限等 | 駐車スペース車種により3台駐車可。 | ||
こだわり項目
- ※価格は物件の代金総額を表示しており、消費税が課税される場合は税込み価格です。(1,000円未満は切り上げ。)
税率は引き渡し時期により異なりますので、各物件の詳細につきましてはお問い合わせください。 - ※敷地権利が借地権のものは価格に権利金を含みます。
- ※制作中に内容が変更される場合もありますので、あらかじめご了承ください。
- ※購入の前には物件内容や契約条件についてご自身で十分な確認をしていただくようにお願いいたします。
- ※完成予想図はいずれも外構、植栽、外観等実際のものとは多少異なることがあります。
- ※CG合成の画像の場合、実際とは多少異なる場合があります。
周辺地図
周辺施設一覧
- ショッピングセンター
- スーパー
- コンビニ
- ドラッグストア
- ホームセンター
- 飲食店
- その他店舗
- 商店街
- 大学
- 専門学校
- 高校・高専
- 中学校
- 小学校
- 保育園
- 幼稚園
- 公民館・児童館
- 病院
- 郵便局
- 役所
- 図書館
- 金融機関
- 警察・消防
- 趣味・娯楽施設
- 公園・運動施設
- 周辺の街並み
- 駅
- その他
お問い合せ先
- 湘南レーベル(株)SLE不動産
- お電話でのお問い合わせは
0463-20-9664「ホームページを見た」とお問い合わせください - 神奈川県伊勢原市桜台1-9-7 堀井ビル1F
- 営業時間:AM09:30~PM18:30
- 定休日:火曜日・水曜日
- 免許番号:神奈川県知事(4)第026678号
- トップ
- 中古住宅をエリアから探す
- 秦野市
- 曽屋
- 秦野市曽屋 中古戸建




















